Bán đất phân lô 1.000m2 tại Dạ Lê, Hương Thủy
Thông tin mô tả
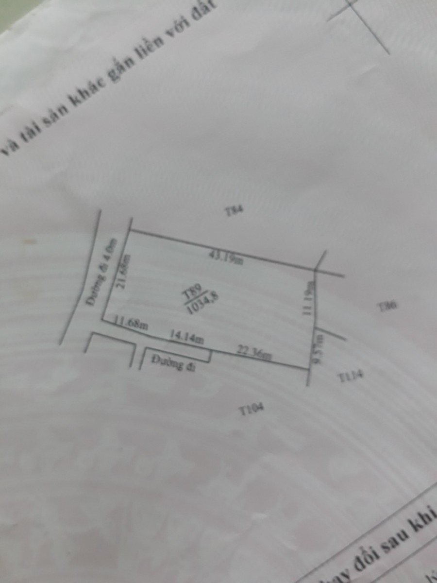
Cần bán 1.000m2 đất tại Dạ Lê, P. Thủy Phương, TX Hương Thủy
Đất vuông vắn, 2 mặt tiền. Đường rộng 5m.
Ngay trung tâm Dạ Lê, phù hợp đầu tư, xây dựng nhà xưởng, kho bãi
Loại đất ở và đất nông nghiệp có thể chuyển đổi.
Gia đình chuyển nõi sinh sống nên bán lại giá đầu tý, có thể thương lượng
Liên hệ cho E Đăng để nhận thêm thông tin 0356_ 524_731
Đặc điểm bất động sản
| Loại hình nhà ở | Bán đất |
| Giá/m² | ~ 6,9 triệu/m² |
| Diện tích | 1.000 m² |
Hướng chính | Chưa xác định |
Vị trí & bản đồ
Đường Dạ Lê, Phường Thủy Phương, Hương Thủy, Thừa Thiên Huế Xem bản đồ lớn
Thông tin liên hệ
Tất cả tin rao vặt đều do người dùng đăng tải. Bds123.vn không chịu trách nhiệm về tính chính xác của thông tin. Chúng tôi khuyến khích bạn nên kiểm tra kỹ thông tin trước khi giao dịch. Nếu phát hiện nội dung sai phạm, vui lòng báo cáo tại đây hoặc qua hotline 0839202123 để được hỗ trợ nhanh chóng và kịp thời.













