Đất nền phân lô tl29 ngay ubnn phường thạnh lộc, quận 12 sổ hồng riêng
Thông tin mô tả
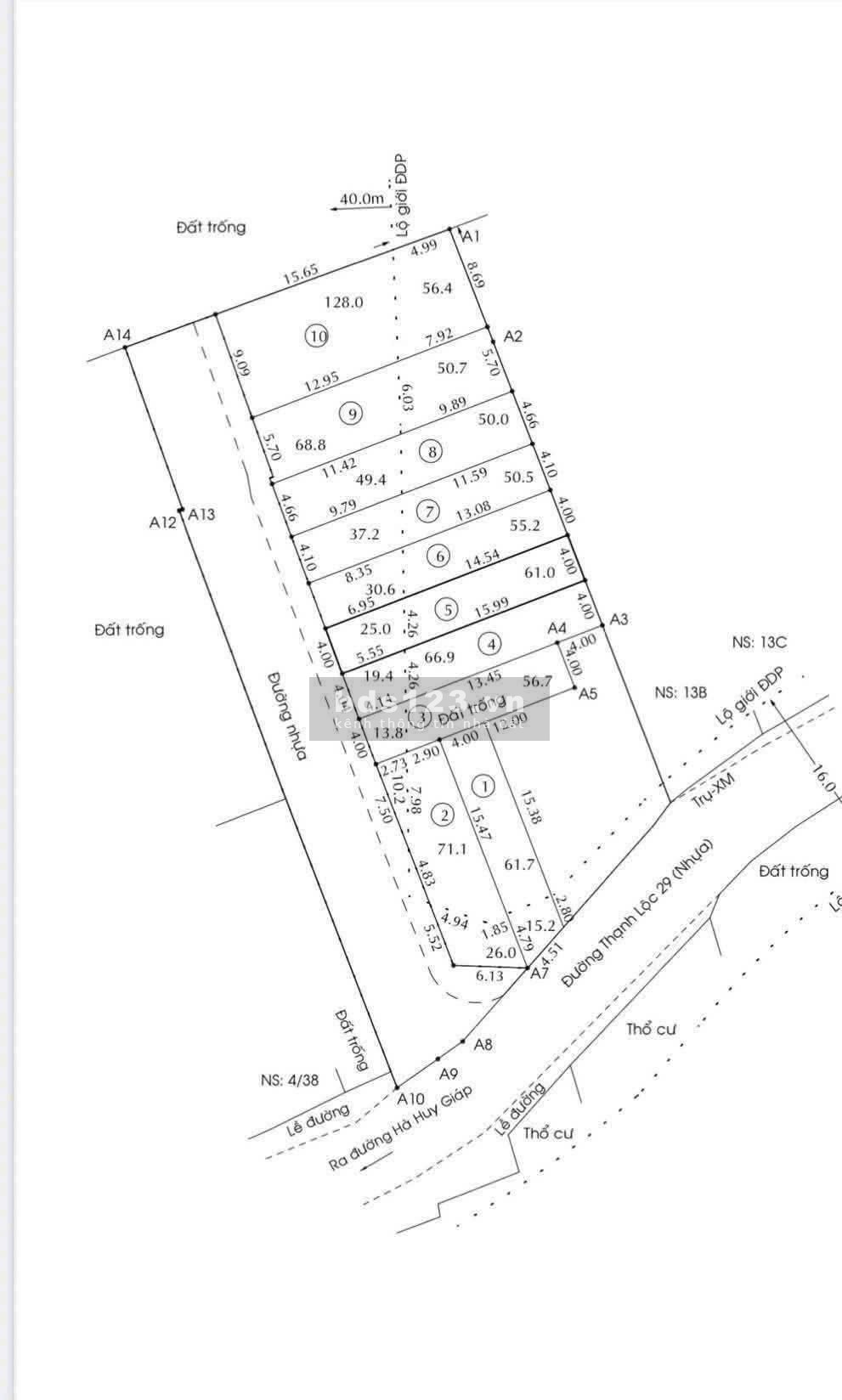
ĐẤT NỀN PHÂN LÔ CAO CẤP TL29 – QUẬN 12
Cơ hội an cư & đầu tư hiếm tại khu dân cư mới quy hoạch đồng bộ
Vị trí: TL29, Quận 12 – khu dân cư hiện hữu, môi trường sống văn minh, tiềm năng phát triển cao.
Ưu điểm nổi bật:
Gần sát UBND phường Thạnh Lộc – khu hành chính trung tâm, an ninh đảm bảo, giá trị đất ổn định.
Sát công viên trọng điểm quy mô 3,3ha – không gian xanh lớn, nâng cao chất lượng sống và tiềm năng tăng giá.
Giá bán: Từ 4.8 tỷ/lô – mức giá tốt trong phân khúc đất nền phân lô cao cấp Quận 12.
Diện tích: Từ 60m²/lô, đất vuông vức, dễ xây dựng nhà ở, văn phòng hoặc cửa hàng.
Pháp lý: Sổ hồng riêng từng lô, công chứng sang tên ngay, giao dịch an tâm.
Hạ tầng: Đường nhựa rộng 8m, vỉa hè thông thoáng, khu phân lô sạch đẹp, dân cư hiện hữu.
Tiềm năng: Phù hợp xây ở, đầu tư lâu dài, kinh doanh hoặc cho thuê sinh lời ổn định.
Liên hệ: 0941 797 916 – Ms My (xem đất & giữ lô đẹp).
Đặc điểm bất động sản
| Loại hình nhà ở | Bán đất |
| Giá/m² | ~ 80,0 triệu/m² |
| Diện tích | 60 m² |
| Chiều ngang | 4 m |
| Chiều dài | 15 m |
| Giấy tờ pháp lý | Đã có sổ hồng |
Hướng chính | Chưa xác định |
Vị trí & bản đồ
Đường Thạnh Lộc 29, Phường Thạnh Lộc, Quận 12, Hồ Chí Minh Xem bản đồ lớn
Thông tin liên hệ
Tất cả tin rao vặt đều do người dùng đăng tải. Bds123.vn không chịu trách nhiệm về tính chính xác của thông tin. Chúng tôi khuyến khích bạn nên kiểm tra kỹ thông tin trước khi giao dịch. Nếu phát hiện nội dung sai phạm, vui lòng báo cáo tại đây hoặc qua hotline 0839202123 để được hỗ trợ nhanh chóng và kịp thời.










